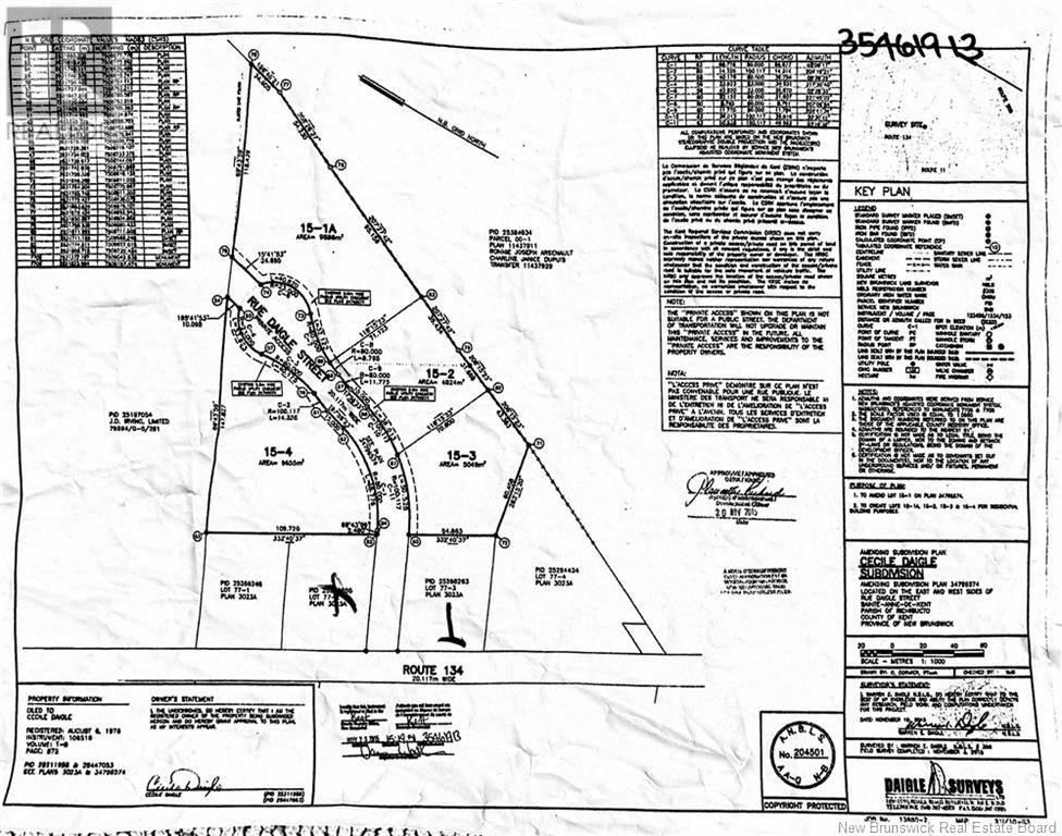
Lot-15-3 Route 134 Sainte-Anne-De-Kent, New Brunswick E4S 1E7

Acreage

$19,900

Discover the perfect canvas for your dream home with this beautifully wooded 1.24 acre lot. Nestled off the highway and just a minute away from the hospital, this property offers both tranquility and convenience. Enjoy the best of both worldssecluded enough to be a peaceful retreat, yet only 40 minutes from the city. Ideal for outdoor enthusiasts, the land is surrounded by ATV trails and is close to stunning beaches and excellent fishing spots. Whether you envision a serene escape or an adventure-filled haven for your family, this property is ready to build and awaits your dream home.+HST (id:27750)

Property Details

MLS® Number NB117632
Property Type Vacant Land

Building

Utility Water None

Land

Access Type Year-round Access, Private Road
Acreage Yes
Size Irregular 1.24
Size Total 1.24 Ac
Size Total Text 1.24 Ac

https://www.realtor.ca/real-estate/28251822/lot-15-3-route-134-sainte-anne-de-kent

Contact Us

Contact us for more information


Generating Captcha

Compare listings

Compare