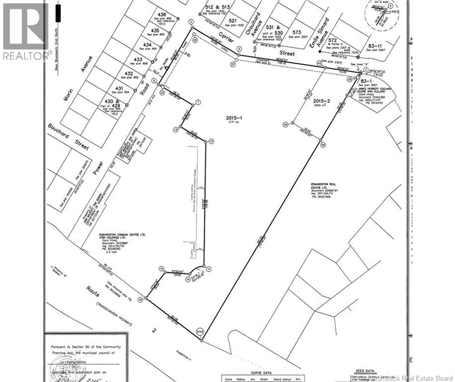
9.16 Acres Rue Carrier Edmundston, New Brunswick E3V 3Y1

Acreage

$1,500,000

Beautiful large residential lot which can be subdivided into several lots. Close to all amenities in the city of Edmundston. Beau grand terrain résidentiel, pouvant être subdivisé en plusieurs lots. Près de tous les services de la ville d'Edmundston. (id:27750)

Property Details

MLS® Number NB126093
Property Type Vacant Land
Features Corner Site, Visual Exposure
Structure None

Building

Utility Water None

Land

Access Type Year-round Access, Public Road
Acreage Yes
Sewer No Sewage System
Size Irregular 9.16
Size Total 9.16 Ac
Size Total Text 9.16 Ac
Soil Type Unknown

https://www.realtor.ca/real-estate/28818423/916-acres-rue-carrier-edmundston

Contact Us

Contact us for more information


Generating Captcha

Compare listings

Compare